Huracán Melissa: 1,6 millones de niños y niñas están en riesgo

Miles de suministros vitales ya están preparados para apoyar a las familias afectadas del Caribe

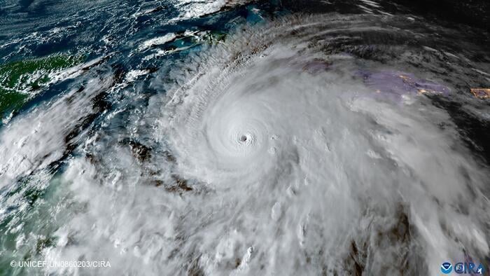
Imagen satelital del huracán Melissa en el mar Caribe el 27 de octubre de 2025

La luz del sol se desvanece sobre el poderoso huracán Melissa en el mar Caribe el 27 de octubre de 2025 en esta imagen satelital proporcionada por CIRA. © UNICEF/UN0860203/CIRA

28/10/2025

A medida que el huracán Melissa avanza lentamente por el mar Caribe, los vientos, las lluvias torrenciales y las inundaciones repentinas han puesto en peligro al menos a 1,6 millones de niños y niñas, según estimaciones de UNICEF.

Se prevé que los países del Caribe, entre ellos Jamaica, Haití, Cuba y la República Dominicana, sufran varios días de condiciones meteorológicas adversas que podrían interrumpir los servicios básicos, especialmente en las zonas costeras vulnerables. "UNICEF ayuda a fortalecer las capacidades nacionales para anticiparse y responder a las emergencias relacionadas con el clima, y para prestar servicios esenciales a los niños y las niñas. Esto es fundamental para proteger a quienes más lo necesitan", afirmó Roberto Benes, director regional para América Latina y el Caribe

La anticipación puede salvar vidas

Un huracán es una emergencia climática repentina, pero el trabajo humanitario de los equipos de UNICEF pasa por anticiparse y prepararse antes de que sea demasiado tarde. Esta preparación permite a UNICEF preposicionar en las zonas afectadas suministros esenciales que mitiguen los daños y las pérdidas de vidas en las comunidades más vulnerables. Por el momento, hemos movilizado:

  • 4.000 recipientes de agua en Jamaica, de los cuales ya hemos distribuido 3.500.

  • 2.900 kits de higiene en Haití.

  • 1.300 kits de higiene en el este de Cuba.

  • 4.000 kits de higiene, con filtros de purificación de agua, tiendas y recipientes de agua también para Jamaica y Cuba.

  • Suministros de tratamiento de la desnutrición en centros sanitarios de Haití.

El Caribe, una región vulnerable a los efectos del cambio climático

Durante la última década, aproximadamente 11 millones de personas, entre ellas casi 4 millones de niños y niñas, se vieron directamente afectadas cada año por desastres naturales y provocados por el hombre en América Latina y el Caribe.

Mientras que los fenómenos meteorológicos extremos ponen en peligro la vida de la infancia y sus familias, UNICEF, en coordinación con las autoridades nacionales y los aliados de cada país, estamos apoyando los esfuerzos de preparación para emergencias, incluyendo el preposicionamiento de suministros esenciales como materiales de higiene, purificadores de agua y contenedores de suministros médicos, compartiendo mensajes de alerta con las comunidades y proporcionando dinero en efectivo a los hogares en riesgo en el sur de Haití para mitigar el impacto del huracán.

"UNICEF ayuda a fortalecer las capacidades nacionales para anticiparse y responder a las emergencias relacionadas con el clima, y para prestar servicios esenciales a los niños. Esto es fundamental para proteger a quienes más lo necesitan", Roberto Benes, director regional para América Latina y el Caribe

Fondo de Emergencias

Ayúdanos a estar preparados ante una emergencia. Dona Ahora.

Te puedes desgravar hasta

¿Sabes que puedes recuperar hasta un 80% de tus donaciones? Más info

Desgravación fiscal

Deducción y desgravación de donaciones a UNICEF

Calcula cuánto te puedes desgravar.

Si has decidido hacerte socio o realizar un donativo puntual a UNICEF España te informamos que puedes desgravarte estas donaciones de tu declaración de la renta.

Éstas son las deducciones aplicables a las donaciones que se realicen a partir del 1 de enero de 2024 a favor de UNICEF España, con la entrada en vigor del Real Decreto-ley 6/2023, de 19 de diciembre, que modifica la Ley 49/2002, de 23 de diciembre, de régimen fiscal de las entidades sin fines lucrativos y de los incentivos fiscales al mecenazgo.

*Cuando durante 3 años se realicen donaciones a una misma entidad por importe igual o superior al del ejercicio anterior.
Personas Físicas (IRPF)Porcentaje de deducción
Primeros 250€80%
Resto a partir de 250€ 40%
Resto a partir de 250€ en Donaciones plurianuales* 45%
Límite deducción base liquidable10%
*Cuando durante 3 años se realicen donaciones a una misma entidad por importe igual o superior al del ejercicio anterior.
**Las cantidades que excedan de este límite se podrán aplicar en los períodos impositivos que concluyan en los 10 años inmediatos y sucesivos.
Personas Jurídicas (IS)Porcentaje de deducción
Donaciones en general40%
Donaciones plurianuales*50%
Límite deducción base imponible**15%
  • Si resides en País Vasco o Navarra las deducciones aplicables pueden ser diferentes.
  • Si eres persona física o jurídica no residente en España y obtienes rentas en nuestro país, tienes también un beneficio fiscal por el importe de tus donativos. Puedes consultarlo en https://sede.agenciatributaria.gob.es/
¿Cómo hago para que mis donaciones a UNICEF aparezcan automáticamente en el borrador de la Renta?

Recuerda que para que podamos informar a la Agencia Tributaria del importe de tus cuotas y donativos es imprescindible que nos hayas facilitado tu NIF y domicilio.

Por favor, si aún no lo has hecho, facilítanos estos datos:

Si quieres ampliar la información sobre estos beneficios fiscales, por favor, consulta la web de la Agencia Tributaria: https://sede.agenciatributaria.gob.es/

 

Si prefieres, contacta con nosotros en el 900 907 500 de lunes a viernes de 9:00h a 21:00h y sábados de 11:00h a 17:00h | [email protected]

Donar por transferencia bancaria:
BANCO SANTANDER ES26 0049 1804 16 2610410756